ఒమన్ లో ప్రభుత్వ, ప్రైవేట్ రంగాలకు 2 రోజుల సెలవు
- October 23, 2023
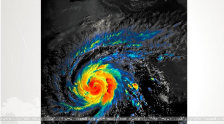
యూఏఈ: తేజ్ తుఫాన్ ఒమన్ సుల్తానేట్ను తీవ్రంగా ప్రభావితం చేస్తున్నది. ప్రతికూల వాతావరణ పరిస్థితుల కారణంగా అధికారులు అక్టోబర్ 23-24 (సోమవారం, మంగళవారం) దోఫర్ గవర్నరేట్లోని ప్రభుత్వ, ప్రైవేట్ రంగ ఉద్యోగులకు.. అల్ వుస్తా గవర్నరేట్లోని అల్ జజీర్ విలాయత్కు అధికారిక సెలవులను ప్రకటించారు. తేజ్ తుఫాను కారణంగా గల్ఫ్ దేశం ప్రతికూల వాతావరణ పరిస్థితులను ఎదుర్కొంటోంది. ధోఫర్ గవర్నరేట్, అల్ వుస్తా గవర్నరేట్లోని చాలా ప్రాంతాలు నేరుగా ప్రభావితం అయ్యాయి. ఈ క్రమంలో ఒమన్ ఆరోగ్య మంత్రిత్వ శాఖ తన 24-గంటల కాల్ సెంటర్ను ఏర్పాటు చేసింది. ప్రజలు జాగ్రత్త వహించాలని, లోయలను దాటవద్దని, లోతట్టు ప్రాంతాలకు దూరంగా ఉండాలని సివిల్ ఏవియేషన్ అథారిటీ సూచించింది. తాజా ఉపగ్రహ చిత్రాలు ప్రకారం.. తేజ్ తుఫాన్ కేటగిరి 3 తుఫానుగా మారుతున్నట్లు అధికారులు తెలిపారు. ఇది ప్రస్తుతం ఒమన్ యొక్క సమీప తీరానికి దాదాపు 500 కి.మీ దూరంలో ఉందని, సోమవారం, మంగళవారాల్లో తుఫాన్ తీవ్రత అధికంగా ఉంటుందని పేర్కొన్నారు.
తాజా వార్తలు
- అమెరికాతో శాంతి చర్చలకు ముందు ఇరాన్ మరో రెండు కొత్త షరతులు..
- ఏప్రిల్ 14న దేశంలో తొలి క్వాంటం టెస్ట్ ఫెసిలిటీ ప్రారంభం
- 26 మందిని స్వదేశానికి రప్పించాలంటూ సుప్రీంకోర్టు ఆదేశం
- ఏపీ ఫిలిం ఛాంబర్ ఆఫ్ కామర్స్కు కొత్త దిశ
- ఇరాన్ దాడుల్లో గాయపడిన వారి చికిత్సపై అబూదాబి పోలీస్ చీఫ్ సమీక్ష
- యూపీలో ఘోర పడవ ప్రమాదం..10 మంది మృతి
- కేసీఆర్తో జీవన్ రెడ్డి భేటీ
- డ్రోన్ అటాక్స్ పై కువైట్ వార్నింగ్..!!
- ఖతార్లో భారత విదేశాంగ మంత్రి కీలక చర్చలు..
- సోహార్ లో భారీగా ఆల్కాహాల్ సీజ్..!!









